Local Service Overview

Get Ant Control Service in Coppell, TX

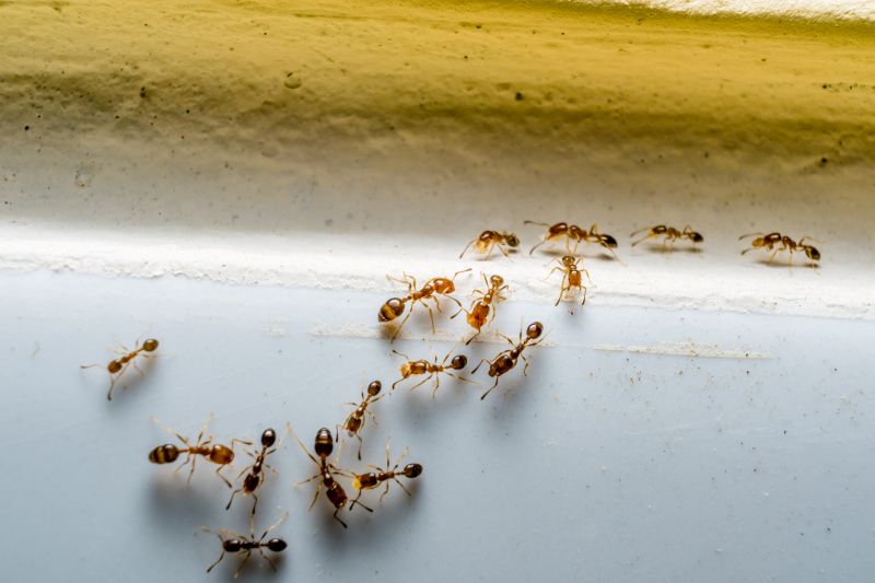
Ant control services for property owners in Coppell, TX, and nearby areas address ant infestations, prevent future invasions, and handle residential and commercial ant removal projects.

Coppell, TX

Ant control services are essential for property owners in Coppell, TX seeking to maintain a safe and comfortable environment. Effective ant management helps prevent infestations that can disrupt daily routines and compromise the usability of outdoor and indoor spaces. By addressing ant issues promptly, homeowners can enjoy a more functional living area, free from the nuisance and potential damage caused by these pests. Additionally, professional ant control can enhance the durability of structures by reducing the risk of ant-related damage to wood, electrical wiring, and other building components.

Choosing reliable ant control services also offers benefits related to curb appeal and reduced maintenance needs. A property free of ant colonies looks more inviting and well-maintained, which can contribute to a positive first impression. Regular pest management can minimize the frequency of future treatments, saving time and effort while keeping the property in optimal condition. Overall, professional ant control provides peace of mind, ensuring that homes and businesses in Coppell remain comfortable, safe, and visually appealing.

Get Ant Control Service Quotes

  • Ant Control - Individuals experiencing ant infestations in residential or commercial spaces in Coppell, TX may seek professional ant control services.
  • Ant Prevention - Property owners looking to prevent future ant problems around their homes or businesses in nearby areas can benefit from expert consultation.
  • Ant Inspection - Those suspecting hidden ant colonies or signs of activity in their property should consider a thorough inspection by local pest control providers.
  • Ant Baiting - Customers needing targeted ant elimination methods can contact professionals specializing in baiting and colony eradication strategies.
  • Ant Barrier Treatments - Homeowners wanting to establish a protective barrier around their property to keep ants out may explore treatment options offered by local specialists.

Get Ant Control Service Quotes

Ant Control Service
Ant Control Service
Ant Control Service

Ant control services involve targeted treatments designed to eliminate ant colonies and prevent future infestations. These services typically include a comprehensive inspection to identify the source of the ant problem, followed by the application of specialized products that target ants both indoors and outdoors. The goal is to disrupt the ants’ trails and nests, reducing their presence in living or working spaces. Professionals may also recommend ongoing maintenance or barrier treatments to ensure long-term control and minimize the risk of re-infestation.

Ant infestations can cause various issues for property owners, including structural damage, contamination of food supplies, and general nuisance. Certain species, such as carpenter ants, are known to damage wood structures, which can compromise the integrity of homes and buildings. Additionally, ants can invade kitchens, pantries, and other areas where food is stored, leading to hygiene concerns. Effective ant control services help address these problems by removing active colonies and implementing measures to prevent future invasions.

Both residential and commercial properties commonly utilize ant control services. Homes in suburban neighborhoods, especially those with gardens or landscaping, often seek treatment to protect their living spaces from persistent ant activity. Commercial properties, including restaurants, grocery stores, and office buildings, also rely on professional ant control to maintain sanitary conditions and comply with health standards. In areas like Coppell, TX, local service providers tailor treatments to suit the specific needs of different property types and the severity of ant issues.

Engaging with a professional ant control service can provide property owners with a customized approach to managing ant populations. These services are designed to address the unique challenges posed by various ant species and property layouts. By working with local pros, property owners can access targeted solutions that help mitigate ant-related problems, protect their investments, and create a more comfortable environment free from ant nuisances.

The overview below groups typical Ant Control Service projects into broad ranges so you can see how smaller, mid-sized, and larger jobs often compare in Coppell, TX.

In many markets, a large share of routine jobs stays in the lower and middle ranges, while only a smaller percentage of projects moves into the highest bands when the work is more complex or site conditions are harder than average.

Initial Inspection Cost - The cost for a professional ant inspection typically ranges from $50 to $150, depending on property size and complexity. This fee often covers identifying ant species and nesting sites. Some providers include the inspection in the overall service price.

One-Time Treatment Prices - A single ant treatment service generally costs between $100 and $300. Larger properties or severe infestations may increase the price, with example costs around $200 for a standard residential property. Treatment methods can vary based on ant type and infestation level.

Ongoing Service Costs - Monthly or quarterly ant control plans usually range from $30 to $75 per visit. These plans often include regular treatments and inspections to prevent future ant issues. The total annual cost can be approximately $360 to $900, depending on frequency and property size.

Additional Service Fees - Extra charges may apply for specialized treatments or inaccessible areas, typically adding $50 to $150. For example, treatments for hard-to-reach spots or retreatments after initial service can influence the final cost. Contact local service providers for specific estimates based on individual needs.

Actual totals will depend on details like access to the work area, the scope of the project, and the materials selected, so use these as general starting points rather than exact figures.

Get an Ant Control Service Quote

Ant Control Solutions - Local pest control providers offer targeted ant removal services to eliminate infestations and prevent future issues.

Commercial Ant Management - Businesses in Coppell and nearby areas can connect with specialists experienced in managing ant problems in commercial settings.

Residential Ant Extermination - Homeowners seeking to address ant issues can find local pros skilled in safe and effective residential pest control.

Ant Prevention Services - Service providers offer strategies to reduce ant attractants around properties and minimize the risk of recurring infestations.

Emergency Ant Removal - Immediate response services are available from local experts for urgent ant infestations disrupting homes or workplaces.

Eco-Friendly Ant Control - Some providers specialize in environmentally conscious methods for controlling ant populations without harmful chemicals.

Ant Control Service

When comparing local providers for ant control services, experience is a key factor to consider. Homeowners should look for service providers who have a proven track record in managing ant infestations within the community. Established professionals often possess a deeper understanding of local ant species and the most effective treatment methods, which can contribute to more reliable results. It’s beneficial to review the background of each contractor to ensure they have ample experience handling situations similar to the homeowner’s specific needs.

Clear communication and written expectations are essential when selecting a pest control provider. Homeowners should seek service providers who are transparent about their treatment processes, pricing structures, and follow-up procedures. Having detailed, written information helps set realistic expectations and ensures all parties are aligned on the scope of work. Open and responsive communication also indicates a contractor’s professionalism and dedication to customer service, making the entire process smoother and more predictable.

Reputable references and reviews can provide valuable insights into the quality of a local ant control service. Homeowners are encouraged to ask for references or seek out reviews from previous clients to gauge the contractor’s reliability and effectiveness. Trusted references often reflect consistent performance and customer satisfaction. Additionally, understanding how a provider communicates and addresses concerns can help homeowners feel more confident in their choice. It’s important to remember that the information below introduces local options and is not the contractor itself, but rather a resource to connect homeowners with qualified service providers in the area.

Get an Ant Control Service Quote

Property owners in Coppell, TX use Ant Control Service services for practical projects around their homes and businesses. The sections below highlight everyday jobs and straightforward project options.

Ant Control Service
Ant Control Service

Ant control services are commonly sought by property owners in Coppell, TX, facing persistent ant problems around their homes or commercial buildings. These pests can invade kitchens, bathrooms, and outdoor spaces, creating nuisances and potential health concerns. Property owners often look for professional assistance to identify the source of ant infestations and implement effective treatment strategies to eliminate colonies and prevent future issues.

In addition to ongoing infestations, many property owners seek ant control services when preparing for events or seasonal changes that increase outdoor activity. Ants can be attracted to food sources or shelter around the property, leading to increased visibility and concern. Local service providers can help address these situations by providing targeted treatments designed to reduce ant populations and protect the property environment.

Get an Ant Control Service Quote

How do ant control services work? Ant control services typically involve inspecting the property to identify ant activity and nesting sites, followed by the application of targeted treatments to eliminate existing colonies and prevent future infestations.

Are ant control treatments safe for pets and children? Most ant control treatments used by professionals are formulated to be safe when applied properly, but it is advisable to follow specific safety instructions provided by the service provider.

How long does an ant control treatment last? The duration of effectiveness varies depending on the treatment method and level of infestation, with many treatments providing protection for several weeks to months.

Can ant control services prevent future infestations? Yes, professional ant control services often include recommendations and treatments designed to reduce the likelihood of future ant problems.

How can I prepare my home for ant control treatment? Preparing for ant control typically involves cleaning the affected areas, removing food and water sources, and following any specific instructions provided by the service provider to ensure effective treatment.

Ant Baiting Solutions - Local pest control providers can set up effective baiting systems to target ant colonies and reduce infestations.

Barrier Treatments for Ants - Professionals apply perimeter treatments around properties to create a barrier that prevents ants from entering indoor spaces.

Inspection and Identification - Experts can identify ant species and assess the extent of the infestation to recommend appropriate control methods.

Ongoing Monitoring and Maintenance - Service providers offer regular inspections to ensure ant problems are managed and do not recur.

Ant Control Service

Considering Ant Control Service for a property in Coppell, TX? The sections above highlight common project types, practical options, and details that often shape the scope of work.

When you are ready, use the quote form to share a few details about your project. Local pros can review the basics and respond with options that match what you have in mind.

Get an Ant Control Service Quote

Ant Control Quotes

Our Trusted Partners
Cantu Pest Control
Orkin
Hawx Pest Control