Local Service Overview

Get Black Ant Extermination in Corinth, TX

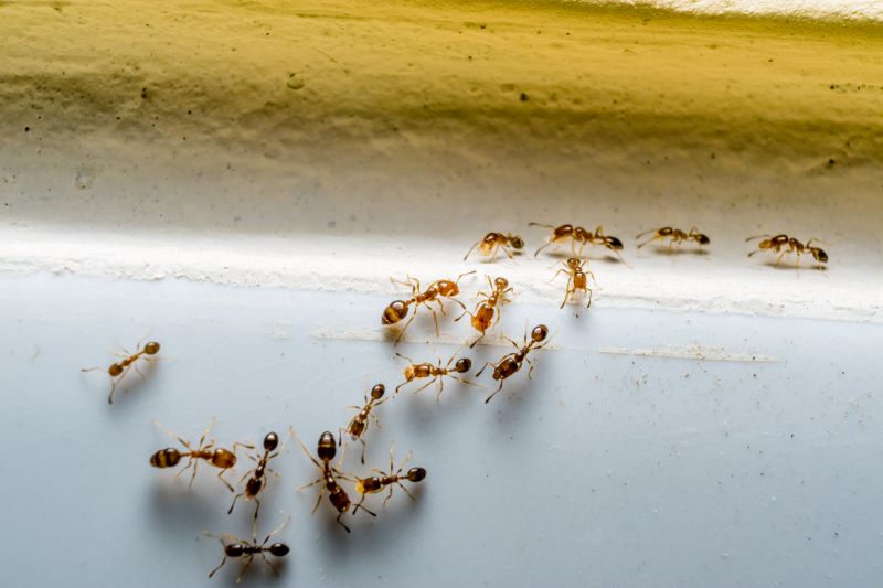
Black Ant Extermination services for property owners in Corinth, TX, typically address ant infestations, prevent future outbreaks, and treat affected structures through professional pest control solutions.

Corinth, TX

Black ant extermination services are essential for property owners in Corinth, TX seeking to maintain a comfortable and safe living environment. Ant infestations can disrupt daily routines and compromise the functionality of outdoor and indoor spaces, making prompt and effective removal a priority. Professional exterminators utilize targeted methods to eliminate colonies, helping to reduce the risk of future invasions and ensuring that homes and businesses remain free of these persistent pests.

Choosing professional ant extermination offers several benefits, including enhanced durability of pest control results and reduced maintenance needs over time. Property owners often look for solutions that improve curb appeal by preventing unsightly ant mounds and trails. Additionally, a pest-free environment contributes to overall safety and comfort, allowing residents to enjoy their spaces without worry about ant-related issues or damage caused by infestations.

Get Black Ant Extermination Quotes

  • Ant Extermination - needed when black ants invade kitchens, pantries, or outdoor areas around Corinth, TX.
  • Indoor Ant Control - required when black ant colonies establish nests inside homes or commercial properties nearby.
  • Outdoor Ant Management - appropriate for properties with persistent black ant activity in lawns, gardens, or landscaping in the Corinth area.
  • Preventive Ant Treatments - suitable for homeowners seeking to stop black ant infestations before they start in surrounding neighborhoods.
  • Emergency Ant Removal - necessary when black ants suddenly swarm or overrun living or working spaces in Corinth and neighboring communities.

Get Black Ant Extermination Quotes

Black Ant Extermination
Black Ant Extermination
Black Ant Extermination

Black ant extermination services focus on eliminating infestations caused by black ants, which are common household pests. These services typically involve thorough inspections to identify the extent of the ant presence and locate entry points and nesting sites. Treatment methods may include the application of targeted insecticides, baiting systems, and other pest control solutions designed to eradicate existing colonies and prevent future invasions. Professionals tailor their approach based on the severity of the infestation and the specific property layout to ensure effective and safe removal.

Black ant problems can lead to various nuisances for property owners. These pests often invade kitchens, pantries, and other areas where food is stored, contaminating items and creating unsanitary conditions. In some cases, black ants may form large colonies that can cause structural issues if they nest within wall voids or other hidden spaces. Additionally, their presence can be distressing for residents or occupants, especially if the infestation is persistent. Professional extermination services help address these issues by removing the ants and implementing measures to reduce the likelihood of re-infestation.

Properties that commonly utilize black ant extermination services include residential homes, apartment complexes, and commercial buildings. Homes with gardens, yards, or outdoor living spaces are particularly vulnerable to ant invasions, especially during warmer months. Commercial establishments such as restaurants, grocery stores, and food processing facilities often seek pest control to maintain hygiene standards and comply with health regulations. Additionally, property managers and landlords may arrange for regular pest control services to ensure their buildings remain free of ant infestations and other pests.

Engaging with local pest control providers for black ant extermination can lead to customized solutions tailored to each property’s needs. These professionals assess the specific conditions contributing to ant infestations and recommend appropriate treatment plans. Regular inspections and preventative treatments may be suggested to maintain a pest-free environment over time. Connecting with experienced local service providers ensures that property owners and managers receive effective, discreet, and timely assistance in managing black ant issues.

The overview below groups typical Black Ant Extermination projects into broad ranges so you can see how smaller, mid-sized, and larger jobs often compare in Corinth, TX.

In many markets, a large share of routine jobs stays in the lower and middle ranges, while only a smaller percentage of projects moves into the highest bands when the work is more complex or site conditions are harder than average.

Initial Inspection - The cost for a black ant extermination inspection typically ranges from $50 to $150. This fee often covers a thorough assessment of the affected areas and identification of ant activity.

Treatment Services - Treatment costs generally fall between $150 and $300 per service. Prices vary based on the extent of the infestation and the treatment methods used by local service providers.

Follow-Up Visits - Follow-up treatments or inspections can cost between $75 and $200 each. These visits ensure that the ant problem is fully resolved and may be recommended periodically.

Integrated Pest Management - Comprehensive pest management plans may range from $200 to $500, depending on the size of the property and the level of intervention required by local contractors.

Actual totals will depend on details like access to the work area, the scope of the project, and the materials selected, so use these as general starting points rather than exact figures.

Get a Black Ant Extermination Quote

Black Ant Extermination services involve professionals who specialize in identifying and eliminating black ant infestations in residential and commercial properties in Corinth, TX. Local pros use targeted methods to control and prevent black ant populations effectively.

Black Ant Control projects focus on implementing integrated pest management strategies to reduce black ant activity and prevent future invasions for homes and businesses nearby. Experts tailor treatments to specific property needs.

Ant Inspection and Identification services include thorough assessments to confirm black ant presence and determine the severity of the infestation, helping to guide appropriate treatment plans in Corinth and surrounding areas.

Black Ant Prevention initiatives involve advice and treatments to minimize the risk of future black ant issues, often including sealing entry points and removing attractants around properties in the local region.

Infestation Remediation services aim to eliminate existing black ant colonies, including nesting sites, to restore comfort and safety in affected spaces in Corinth and nearby communities. Professionals use effective removal techniques.

Commercial Black Ant Extermination solutions cater to businesses requiring ongoing or one-time treatments to control black ant problems, ensuring pest-free environments for employees and customers in the local area.

Black Ant Extermination

When selecting a professional for black ant extermination services, it’s important to consider the experience and expertise of local providers. Homeowners should look for service providers who have a history of successfully handling ant infestations in the Corinth, TX area and nearby communities. Established local pros often possess a deeper understanding of common pest issues in the region, which can contribute to more effective treatment strategies. Gathering information about their background and the types of ant problems they have addressed can help ensure the chosen professional has the relevant experience to meet specific needs.

Clear communication and well-defined written expectations are essential when working with pest control service providers. Homeowners are encouraged to review detailed service descriptions, including the scope of work, methods used, and any follow-up procedures. Reputable local pros typically provide transparent information about their processes, allowing homeowners to understand what to expect during and after treatment. This clarity can help prevent misunderstandings and ensure that the pest management approach aligns with the homeowner’s preferences and concerns.

References and reputation are valuable indicators of a local pest control provider’s reliability. Homeowners should seek out providers with established reputations within the community, often verified through references or local reviews. Reputable service providers are usually able to share contact information for previous clients or offer insights into their track record of successful ant exterminations. Effective communication and responsiveness further contribute to a positive experience, making it easier for homeowners to ask questions, address concerns, and coordinate services efficiently.

Get a Black Ant Extermination Quote

Property owners in Corinth, TX use Black Ant Extermination services for practical projects around their homes and businesses. The sections below highlight everyday jobs and straightforward project options.

Black Ant Extermination
Black Ant Extermination

Black ant extermination services are commonly sought by property owners in Corinth, TX, who are dealing with persistent ant infestations or noticing increased ant activity around their homes and businesses. These pests can invade kitchens, pantry areas, and outdoor spaces, creating nuisances and potential sanitation concerns. Property owners may look for professional assistance to effectively eliminate the ants and prevent future invasions, especially when DIY methods have failed to resolve the problem.

In addition, many property owners consider ant extermination services when they want to protect their structures from potential damage caused by ants or to maintain a clean and pest-free environment. Whether it’s a new construction, a landscaped yard, or an existing property, local service providers can help address ant issues promptly and efficiently, ensuring that homes and commercial spaces remain comfortable and pest-free.

Get a Black Ant Extermination Quote

Why are black ants attracted to my home? Black ants are drawn to food sources, moisture, and shelter around residential properties, which can lead them indoors in search of these resources.

How can I identify a black ant infestation? Signs include visible trails of ants, presence of ants near food or water sources, and small piles of debris or discarded food particles around your property.

What extermination methods do local pros use for black ants? Professionals typically employ targeted baits, residual insecticides, and exclusion techniques to eliminate black ant colonies and prevent future invasions.

Are black ants dangerous to my family or pets? Black ants are generally not harmful to humans or pets, but their presence can indicate unsanitary conditions or attract other pests.

How can I prevent black ants from returning? Proper sanitation, sealing entry points, and removing attractants around the property can help deter black ants and reduce the likelihood of future infestations.

Black Ant Extermination Solutions - Local pest control providers offer specialized treatments to eliminate black ants from residential and commercial properties.

Inspection and Identification - Pros can assess infested areas to identify ant entry points and nesting sites for targeted removal.

Preventive Strategies - Service providers can recommend and implement measures to reduce future ant activity around the property.

Ongoing Monitoring and Maintenance - Regular inspections by local experts help maintain ant-free environments and address new issues promptly.

Black Ant Extermination

Considering Black Ant Extermination for a property in Corinth, TX? The sections above highlight common project types, practical options, and details that often shape the scope of work.

When you are ready, use the quote form to share a few details about your project. Local pros can review the basics and respond with options that match what you have in mind.

Get a Black Ant Extermination Quote

Black Ant Extermination Quotes

Our Trusted Partners
Cantu Pest Control
Orkin
Hawx Pest Control