Local Service Overview

Get Red Ant Extermination in Mansfield, TX

Red Ant Extermination services for Mansfield, TX, cover pest removal, rodent control, termite treatment, and general pest management for residential and commercial properties.

Mansfield, TX

Red Ant Extermination services are essential for property owners in Mansfield, TX seeking to protect their investments from unwanted pests. Effective pest control helps maintain a comfortable living or working environment by reducing the presence of ants and other insects that can disrupt daily activities. Additionally, professional extermination enhances safety by preventing potential infestations that may lead to damage or health concerns, contributing to a more secure and enjoyable property.

Choosing expert pest control also offers practical benefits such as improved curb appeal and increased property durability. Regular extermination services can minimize the need for ongoing maintenance by preventing pest-related damage, helping structures and landscaping stay in better condition over time. As a result, property owners often find that professional pest management contributes to a more functional, attractive, and long-lasting property.

Get Red Ant Extermination Quotes

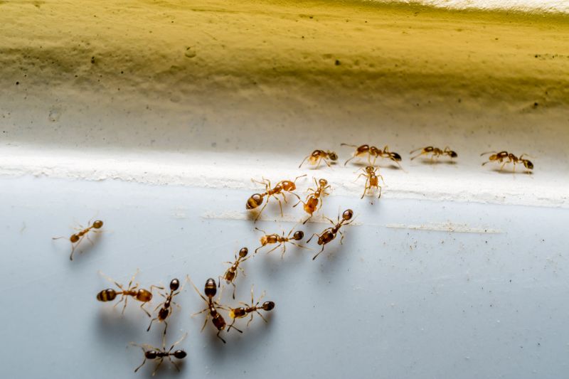
  • Red Ant Extermination - Individuals experiencing a red ant infestation in residential or commercial properties may need professional removal services.
  • Red Ant Extermination - Property owners in Mansfield, TX, and surrounding areas seeking to prevent red ant colonies from spreading might consider expert treatments.
  • Red Ant Extermination - Those dealing with red ant nests in outdoor landscapes or gardens could benefit from specialized pest control solutions.
  • Red Ant Extermination - Customers facing recurring red ant problems despite previous attempts may require targeted extermination efforts.
  • Red Ant Extermination - Anyone noticing increased red ant activity during warmer months might contact local pros for effective elimination methods.

Get Red Ant Extermination Quotes

Red Ant Extermination
Red Ant Extermination
Red Ant Extermination

Red ant extermination services focus on identifying and removing red ant colonies from residential, commercial, and industrial properties. These services typically involve thorough inspections to locate active nests, followed by targeted treatments to eliminate the ants at their source. Service providers may use a combination of baiting, spraying, and dusting techniques designed to reduce ant populations and prevent future infestations. The goal is to create a pest-free environment by addressing the problem at its core, ensuring that red ants do not spread or cause further issues.

Red ant problems can pose significant nuisances and potential hazards for property owners. These ants are known for their aggressive behavior and painful stings, which can be particularly problematic for families with children, outdoor enthusiasts, or individuals with allergies. In addition to the discomfort and health concerns, red ant infestations can damage lawns, gardens, and other landscape features by burrowing and nesting in soil or mulch. Effective extermination services help mitigate these issues by controlling the ant populations and reducing the likelihood of recurring invasions.

Properties that commonly utilize red ant extermination services include single-family homes, apartment complexes, commercial buildings, and agricultural sites. Residential properties often seek assistance to maintain safe outdoor spaces and prevent stings or allergic reactions. Commercial establishments, especially those with outdoor dining areas or landscaped grounds, may require regular pest management to uphold hygiene standards and customer safety. Agricultural operations, such as farms or orchards, use extermination services to protect crops and prevent red ants from disrupting farming activities or damaging produce.

Professional extermination providers tailor their approaches based on the specific property type and severity of the infestation. They assess the extent of the red ant activity and recommend appropriate treatment plans to effectively manage the problem. Regular inspections and maintenance may be part of ongoing pest control strategies to ensure long-term protection. Contacting local pest control specialists can help property owners address red ant issues efficiently, maintaining a safe and comfortable environment.

The overview below groups typical Red Ant Extermination projects into broad ranges so you can see how smaller, mid-sized, and larger jobs often compare in Mansfield, TX.

In many markets, a large share of routine jobs stays in the lower and middle ranges, while only a smaller percentage of projects moves into the highest bands when the work is more complex or site conditions are harder than average.

Cost Range for Basic Pest Control - Typically, the cost for standard red ant extermination services can range from $100 to $300 for a single treatment of a small to medium-sized property. Larger properties or severe infestations may incur higher fees within the $300 to $600 range.

Cost for Multiple Treatments - For ongoing or multiple treatment plans, prices generally fall between $200 and $700, depending on the number of visits and the extent of the infestation. Some service providers offer package deals within this range.

Cost for Commercial Properties - Extermination services for commercial spaces often start around $500 and can go up to several thousand dollars for large or complex facilities. The final cost depends on property size and specific pest control needs.

Additional Cost Factors - Extra charges may apply for specialized treatments or if additional pest issues are present, with costs varying based on the scope of work. Contact local pros to obtain tailored estimates for specific situations.

Actual totals will depend on details like access to the work area, the scope of the project, and the materials selected, so use these as general starting points rather than exact figures.

Get a Red Ant Extermination Quote

Ant Extermination - Local pest control providers offer specialized services to eliminate red ants from residential and commercial properties in Mansfield, TX and nearby areas.

Carpenter Ant Removal - Service providers utilize targeted methods to address carpenter ant infestations that can cause structural damage.

Fire Ant Control - Local experts provide treatment options to control fire ant populations and reduce their impact on outdoor spaces.

Odorous Ant Extermination - Pest control companies assist in managing odorous ant problems that can invade kitchens and living areas.

Pharaoh Ant Treatments - Professionals implement strategies to control Pharaoh ants, which are known for their ability to infest multiple areas indoors.

Harvester Ant Solutions - Local extermination services address harvester ant issues, helping to protect lawns and gardens from damage.

Red Ant Extermination

When selecting a professional for red ant extermination, it’s important to consider the experience of local service providers. Experienced pros have typically handled a variety of ant infestations, allowing them to identify the most effective treatment methods for different situations. Homeowners can benefit from reviewing the background of potential contractors, including how long they have been operating in the Mansfield, TX area, to gauge their familiarity with local ant behaviors and common challenges.

Clear communication and well-defined expectations are crucial when working with a pest control provider. Reputable local pros should be able to articulate their approach, explain the scope of work, and outline any necessary follow-up procedures. Establishing a mutual understanding beforehand helps ensure that homeowners are aware of what to expect and can ask questions to clarify the process, leading to a smoother service experience.

References and reputation are valuable indicators of a local extermination service’s reliability. Homeowners are encouraged to seek out reputable references or reviews from previous clients in the Mansfield area. A contractor’s reputation for professionalism, responsiveness, and effective results can often be verified through trusted sources or word-of-mouth recommendations. Additionally, consistent communication from the service provider throughout the process can help homeowners feel confident that their concerns are being addressed and that the treatment will be carried out according to agreed-upon standards.

Get a Red Ant Extermination Quote

Property owners in Mansfield, TX use Red Ant Extermination services for practical projects around their homes and businesses. The sections below highlight everyday jobs and straightforward project options.

Red Ant Extermination
Red Ant Extermination

Red ant extermination services are often sought by property owners in Mansfield, TX, experiencing persistent ant activity around their homes or businesses. These insects can invade outdoor spaces, such as gardens and patios, and sometimes find their way indoors, creating nuisance and potential health concerns. Local pest control providers offer targeted treatments to eliminate red ants and help prevent future infestations, making them a common solution for those dealing with ongoing ant problems.

Homeowners and property managers may also look for red ant extermination when preparing for events or seasonal changes. Red ants tend to become more active during warmer months, prompting residents to seek professional assistance to protect their outdoor living areas and ensure a pest-free environment. Local service providers can assess the situation and recommend appropriate treatment options to address red ant activity effectively.

Get a Red Ant Extermination Quote

How do I know if I have an ant infestation? Signs of an ant infestation include visible ants indoors or outdoors, trails of ants leading to food sources, and small piles of dirt or debris near entry points.

What types of ants are common in Mansfield, TX? Common ant species in the area include odorous house ants, fire ants, and carpenter ants.

How can I prevent ants from entering my home? Sealing cracks and gaps around windows and doors, storing food in airtight containers, and removing standing water can help prevent ant entry.

What methods do pest control professionals use to eliminate ants? Local pros typically use baiting systems, insecticidal treatments, and perimeter barriers to control ant populations.

Is ongoing treatment necessary to keep ants away? Ongoing treatments or inspections may be recommended to maintain a pest-free environment and prevent future infestations.

Red Ant Extermination Solutions - Local pest control providers offer specialized services to eliminate red ant infestations effectively.

Red Ant Identification and Inspection - Professionals can assess property areas to identify red ant activity and determine the extent of the problem.

Red Ant Removal and Treatment - Service providers utilize targeted treatments to eradicate red ants and prevent future invasions.

Preventative Red Ant Control - Experts can advise on measures to reduce the likelihood of red ant re-infestation around residential and commercial properties.

Red Ant Extermination

Considering Red Ant Extermination for a property in Mansfield, TX? The sections above highlight common project types, practical options, and details that often shape the scope of work.

When you are ready, use the quote form to share a few details about your project. Local pros can review the basics and respond with options that match what you have in mind.

Get a Red Ant Extermination Quote

Red Ant Extermination Quotes

Our Trusted Partners
Cantu Pest Control
Orkin
Hawx Pest Control