Local Service Overview

Get Ants Extermination Service in Roanoke, TX

Ants extermination services for property owners in Roanoke, TX, address ant infestations, prevent future invasions, and handle residential and commercial pest control projects.

Roanoke, TX

Ants extermination services in Roanoke, TX are essential for property owners seeking to maintain a comfortable and safe environment. Ant invasions can disrupt daily routines, damage structures, and compromise hygiene, making professional removal a practical solution. By addressing infestations promptly, property owners can enjoy a more functional living or working space, free from the nuisance and potential health concerns associated with ants.

Engaging with local ant extermination specialists offers benefits that extend beyond immediate pest removal. These services help enhance curb appeal by preventing unsightly ant trails and damage to landscaping or structures. Additionally, effective extermination reduces ongoing maintenance needs, contributing to the durability of the property and ensuring long-term comfort and safety for residents and visitors alike.

Get Ants Extermination Service Quotes

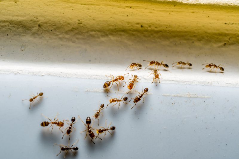
  • Ants Extermination Services are needed when ants invade homes or businesses in Roanoke, TX, and nearby areas. Pest control professionals can help eliminate persistent ant colonies in kitchens, basements, or outdoor spaces. These services are suitable for addressing ant infestations that threaten property comfort and hygiene. Contact local exterminators for assistance with ant control in residential or commercial settings. Expert services can effectively reduce ant populations and prevent future invasions.

Get Ants Extermination Service Quotes

Ants Extermination Service
Ants Extermination Service
Ants Extermination Service

Ants extermination services involve identifying, eliminating, and preventing ant infestations within residential, commercial, or industrial properties. Skilled pest control professionals assess the extent of the ant problem, determine the species involved, and apply targeted treatments to eradicate colonies. These services often include the use of baits, sprays, and barriers designed to eliminate ants at their source and reduce the likelihood of future invasions. Proper treatment aims to not only remove visible ants but also address hidden nests to ensure comprehensive control.

Ant infestations can cause various issues, including property damage, contamination of food supplies, and general discomfort for occupants. Certain types of ants, such as carpenter ants, are known to damage wooden structures, while others, like odorous house ants or fire ants, can pose health risks or create nuisance conditions. Exterminating these pests helps mitigate property damage and health concerns, providing a safer and more comfortable environment. Professional services also help identify potential entry points and recommend measures to prevent future invasions.

Properties that typically utilize ant extermination services include homes, apartment complexes, restaurants, and retail establishments. Residential properties often seek treatment to protect food storage areas and prevent structural damage, especially in areas where ants are actively foraging. Commercial properties, particularly those involved in food service or retail, require pest control to maintain hygiene standards and comply with health regulations. Additionally, warehouses and storage facilities may need ongoing pest management to safeguard inventory from ant-related contamination or damage.

Engaging with local pest control providers for ant extermination services offers a tailored approach to managing infestations based on the specific needs of each property. These professionals utilize proven methods and products to effectively address ant problems, whether they involve small colonies or widespread invasions. Contacting a local expert can help property owners and managers find appropriate solutions to maintain a pest-free environment and prevent future ant issues.

The overview below groups typical Ants Extermination Service projects into broad ranges so you can see how smaller, mid-sized, and larger jobs often compare in Roanoke, TX.

In many markets, a large share of routine jobs stays in the lower and middle ranges, while only a smaller percentage of projects moves into the highest bands when the work is more complex or site conditions are harder than average.

Initial Inspection - The cost for an initial ant inspection typically ranges from $50 to $150, depending on property size and complexity. This fee covers identifying ant species and infestation severity. Local pros may include this as part of a broader service package.

Basic Treatment - Standard ant extermination treatments generally cost between $150 and $300 for a single application. Larger properties or severe infestations could increase the price to around $400. Prices vary based on treatment methods and property size.

Ongoing Pest Control - Monthly pest control plans for ant prevention often range from $40 to $70 per visit. Contract durations and service frequency influence overall costs, with some providers offering discounts for longer-term agreements.

Specialized Treatments - Advanced or targeted ant control services, such as baiting or barrier treatments, can cost between $200 and $500. These are typically recommended for persistent or hard-to-reach infestations, with costs varying by property specifics.

Actual totals will depend on details like access to the work area, the scope of the project, and the materials selected, so use these as general starting points rather than exact figures.

Get an Ants Extermination Service Quote

Ants Extermination services involve professionals who identify ant infestations and implement targeted treatment plans to eliminate colonies effectively.

Residential Ant Control providers focus on safeguarding homes in Roanoke, TX, and nearby areas from ant invasions through specialized removal techniques.

Commercial Ant Extermination services help local businesses maintain pest-free environments by addressing ant problems that could disrupt operations.

Natural and Chemical Treatment Options are offered by local pros to suit different property needs and preferences for ant control methods.

Preventive Ant Management strategies are available to help property owners reduce the likelihood of future ant infestations.

Emergency Ant Pest Control services are accessible for urgent situations requiring swift intervention to manage ant outbreaks.

Ants Extermination Service

When selecting a pest control professional for ant extermination services, experience is an important factor to consider. Many local providers have years of hands-on work in managing ant infestations, which can translate into effective and efficient solutions. Homeowners are encouraged to review the backgrounds of different service providers to understand their familiarity with various ant species and treatment methods, ensuring they can address specific pest issues effectively.

Clear communication and well-defined expectations are crucial when working with a pest control contractor. Reputable local pros typically provide detailed information about their treatment approaches, what homeowners can expect during and after the service, and any necessary follow-up steps. This transparency helps establish trust and ensures that homeowners are well-informed about the process, reducing uncertainties and aligning services with their needs.

References from previous clients and reputation within the community can serve as useful indicators of a provider’s reliability. Many local service providers maintain positive feedback and testimonials from satisfied customers, which can be accessed through various platforms or directly from the contractor. Homeowners should seek out reputable references and consider reviews to gauge the professionalism, responsiveness, and quality of service offered by different ant extermination specialists in the Roanoke, TX area and nearby communities.

Get an Ants Extermination Service Quote

Property owners in Roanoke, TX use Ants Extermination Service services for practical projects around their homes and businesses. The sections below highlight everyday jobs and straightforward project options.

Ants Extermination Service
Ants Extermination Service

Ants extermination services are commonly sought by property owners in Roanoke, TX facing persistent ant infestations in residential or commercial spaces. These situations often arise when ants invade kitchens, dining areas, or storage spaces, creating discomfort and potential hygiene concerns. Local service providers can assist with identifying the source of the ant problem and implementing effective treatment options to help restore a pest-free environment.

Property owners may also look for ants extermination when noticing increased ant activity around the exterior of their property, such as along foundations, patios, or garden beds. Such activity can indicate a larger colony nearby, which may lead to future indoor invasions if not addressed. Professional extermination services can evaluate the property, recommend targeted solutions, and help prevent recurring ant issues in Roanoke, TX.

Get an Ants Extermination Service Quote

How do ant extermination services work? Ant extermination services typically involve identifying the ant species, locating nests, and applying targeted treatments to eliminate colonies and prevent future infestations.

Are ant extermination treatments safe for pets and children? Most professional ant treatments are designed to be safe when applied by licensed service providers; however, it is recommended to follow specific safety instructions provided by the local pros.

How long does an ant extermination service usually take? The duration of an ant extermination service varies depending on the extent of the infestation, but most treatments can be completed within a few hours.

Will I need multiple treatments for a persistent ant problem? Some ant infestations may require more than one treatment to fully eliminate the colony and prevent re-infestation, depending on the species and severity.

How can I prevent future ant problems? Local pros often recommend sealing entry points, maintaining cleanliness, and removing food sources to help prevent future ant issues after treatment.

Ants Identification and Inspection - Local pest control providers can assess your property to identify ant species and determine the extent of the infestation.

Customized Ant Extermination Plans - Service providers can develop tailored treatment strategies to effectively eliminate ant colonies from residential or commercial spaces.

Ant Prevention and Barrier Treatments - Professionals can apply preventive measures to reduce the likelihood of future ant invasions around the property.

Ongoing Monitoring and Maintenance - Local experts can offer regular inspections and treatments to ensure ants do not return.

Ants Extermination Service

Considering Ants Extermination Service for a property in Roanoke, TX? The sections above highlight common project types, practical options, and details that often shape the scope of work.

When you are ready, use the quote form to share a few details about your project. Local pros can review the basics and respond with options that match what you have in mind.

Get an Ants Extermination Service Quote

Ants Extermination Quotes

Our Trusted Partners
Cantu Pest Control
Orkin
Hawx Pest Control