Local Service Overview

Get Black Ant Extermination in Addison, TX

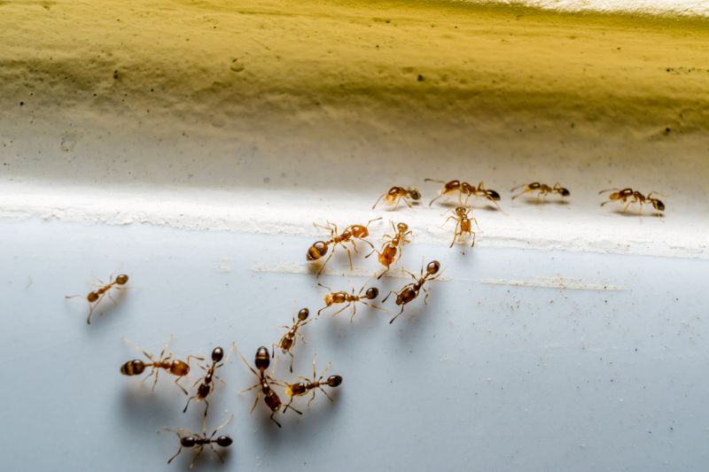
Black Ant Extermination services for property owners in Addison, TX, and nearby areas address ant infestations, prevent future invasions, and treat affected structures.

Addison, TX

Black ant extermination services are essential for property owners in Addison, TX seeking to maintain a comfortable and safe living environment. By effectively managing ant populations, property owners can prevent potential infestations that may damage structures or contaminate food sources, ensuring the functionality of their homes and businesses. These services often help reduce ongoing maintenance needs by addressing the root causes of ant invasions, leading to a more durable and hassle-free property.

In addition to safety and functionality, professional ant extermination can enhance curb appeal by eliminating unsightly ant trails and nests. Property owners often seek these services to create a clean, inviting appearance while safeguarding their investment. Partnering with experienced local providers ensures that ant problems are handled efficiently, contributing to a more enjoyable and worry-free property environment.

Get Black Ant Extermination Quotes

  • Ant Extermination - needed when ants invade kitchens, pantries, or outdoor areas around homes and businesses.
  • Carpenter Ant Control - required if wood structures or furniture show signs of ant activity or damage.
  • Fire Ant Removal - necessary for outdoor lawns and play areas to reduce painful stings and nest populations.
  • Odorous House Ant Treatment - appropriate when these ants establish colonies inside walls or behind appliances.
  • Pharaoh Ant Elimination - essential in commercial or residential settings where these tiny ants threaten stored products.

Get Black Ant Extermination Quotes

Black Ant Extermination
Black Ant Extermination
Black Ant Extermination

Black ant extermination services focus on eliminating infestations of black ants from residential and commercial properties. These services typically involve thorough inspections to identify the extent of the ant problem and locate nesting sites. Treatment methods may include the application of targeted insecticides, baiting systems, or residual sprays designed to eradicate ants at their source. The goal is to reduce or eliminate the ant population, preventing further invasion and damage.

Black ants can pose several issues for property owners. They often invade kitchens, pantries, and other areas where food is stored, contaminating supplies and creating unsanitary conditions. In some cases, black ants may establish colonies inside walls, under floors, or in other hidden locations, which can lead to structural concerns or attract other pests. Effective extermination helps maintain a clean and pest-free environment, reducing the risk of ongoing infestations and associated problems.

Properties that commonly seek black ant extermination services vary widely. Residential homes, especially those with accessible entry points or food storage areas, frequently require treatment. Commercial establishments such as restaurants, grocery stores, and food processing facilities also often need pest control to meet health standards and prevent disruptions. Additionally, multi-unit buildings, office complexes, and warehouses may utilize these services to control ant populations and protect property integrity.

Professional black ant extermination providers offer tailored solutions based on the specific needs of each property. They assess the severity of the infestation, identify potential entry points, and recommend appropriate treatment strategies. These services aim to provide long-term control and help property owners maintain a pest-free environment. Contacting local pest control specialists is the next step for those experiencing black ant issues or seeking preventative measures.

The overview below groups typical Black Ant Extermination projects into broad ranges so you can see how smaller, mid-sized, and larger jobs often compare in Addison, TX.

In many markets, a large share of routine jobs stays in the lower and middle ranges, while only a smaller percentage of projects moves into the highest bands when the work is more complex or site conditions are harder than average.

Initial Black Ant Extermination - The cost for a one-time treatment typically ranges from $150 to $300, depending on the size of the affected area. Larger infestations or properties may incur higher fees within this range.

Recurring Service Plans - Ongoing maintenance to prevent black ant re-infestation usually costs between $100 and $250 per visit. Service frequency can influence the overall expense, with quarterly visits being common.

Per-Infestation Charges - Some providers offer per-infestation pricing, which can vary from $100 to $400 based on severity and property size. This option is often suitable for localized black ant problems.

Additional Treatment Costs - Extra services such as interior spot treatments or baiting may add $50 to $150 to the overall cost. These are typically recommended for persistent or hard-to-reach infestations.

Actual totals will depend on details like access to the work area, the scope of the project, and the materials selected, so use these as general starting points rather than exact figures.

Get a Black Ant Extermination Quote

Ant Extermination services help identify and eliminate black ant colonies within residential and commercial properties, reducing infestation issues.

Indoor Pest Control providers specialize in treating indoor spaces to remove black ants and prevent future invasions through targeted applications.

Outdoor Pest Management services focus on treating yards, gardens, and exterior structures to create a barrier against black ant entry points.

Inspection Services professionals assess property conditions to locate ant nests and determine the most effective treatment strategies.

Preventive Pest Control providers offer ongoing treatments to keep black ants from returning after initial removal efforts.

Commercial Pest Control services assist businesses in managing black ant issues that could affect operations and customer experience.

Black Ant Extermination

When selecting a professional for black ant extermination, it is important to consider their experience in handling ant control services. Homeowners should look for local providers with a proven track record in effectively managing ant infestations, especially those familiar with the specific challenges of the area, such as Addison, TX. An experienced service provider can better identify ant behavior, nesting sites, and optimal treatment methods, which can contribute to more successful and lasting results.

Clear communication and well-defined expectations are crucial when working with a pest control professional. Reputable local providers typically outline their treatment approaches, safety considerations, and follow-up procedures to ensure homeowners understand what to expect. Establishing open lines of communication can help address questions or concerns throughout the process, leading to a more transparent and satisfactory experience.

References and reputation are valuable indicators of a dependable service provider. Homeowners are encouraged to seek out local pros with established reputations, which may be supported by positive references from previous clients or community recognition. While the site introduces local options, it is important to verify the credibility of each provider directly, ensuring they meet the homeowner’s standards for professionalism, reliability, and quality of service.

Get a Black Ant Extermination Quote

Property owners in Addison, TX use Black Ant Extermination services for practical projects around their homes and businesses. The sections below highlight everyday jobs and straightforward project options.

Black Ant Extermination
Black Ant Extermination

Black ant extermination services are commonly sought by property owners in Addison, TX when ants become a persistent nuisance around their homes or businesses. These insects can invade kitchens, storage areas, and outdoor spaces, creating discomfort and potential hygiene concerns. Local service providers can help identify ant colonies and implement targeted treatments to eliminate infestations effectively, allowing property owners to restore comfort and cleanliness to their spaces.

In addition, property owners often look for black ant extermination when they notice increased ant activity during warmer months or after recent construction projects. Ants may be attracted to food sources or shelter around the property, leading to larger colonies if not addressed promptly. Professional extermination services can assess the situation, recommend appropriate solutions, and help prevent future invasions, ensuring the property remains pest-free and well-maintained.

Get a Black Ant Extermination Quote

Why are black ants attracted to my home? Black ants are often drawn to food sources, moisture, and shelter inside or around homes in Addison, TX and nearby areas.

How can I identify a black ant infestation? Signs include visible trails, ant sightings near food or water sources, and the presence of ant nests in walls, foundations, or outdoor areas.

What extermination methods are used for black ants? Local service providers may use baiting, targeted sprays, or barrier treatments to eliminate black ant colonies effectively.

Are black ants likely to cause property damage? Black ants typically do not cause structural damage but can contaminate food and become a nuisance if their population grows.

How can I prevent black ants from returning? Maintaining cleanliness, sealing entry points, and removing attractants can help reduce the likelihood of future infestations.

Black Ant Extermination Methods - Local service providers can recommend effective techniques for eliminating black ants from residential or commercial properties.

Inspection Services - Professionals can assess infested areas to identify ant entry points and nesting sites for targeted treatment.

Preventative Solutions - Experts may suggest measures to reduce the likelihood of future black ant invasions through sanitation and barrier methods.

Ongoing Monitoring - Service providers can offer follow-up inspections to ensure black ant populations are controlled and do not return.

Black Ant Extermination

Considering Black Ant Extermination for a property in Addison, TX? The sections above highlight common project types, practical options, and details that often shape the scope of work.

When you are ready, use the quote form to share a few details about your project. Local pros can review the basics and respond with options that match what you have in mind.

Get a Black Ant Extermination Quote

Black Ant Extermination Quotes

Our Trusted Partners
Cantu Pest Control
Orkin
Hawx Pest Control