Local Service Overview

Get Ants Extermination Service in Ponder, TX

Ants extermination services for property owners in Ponder, TX, and nearby areas address ant infestations, prevent future invasions, and handle residential and commercial pest control projects.

Ponder, TX

Ants extermination services are essential for property owners in Ponder, TX seeking to maintain a safe and comfortable environment. Effective removal helps prevent infestations that can cause property damage, contaminate food supplies, and create unsanitary conditions. By addressing ant problems promptly, property owners can enjoy a sense of security and peace of mind, knowing that their homes and businesses are protected from potential health hazards and structural issues.

Utilizing professional ant extermination services also offers benefits related to the long-term functionality and curb appeal of a property. Proper treatment reduces the likelihood of recurring infestations, which can lead to decreased maintenance needs and preserve the property's appearance. This proactive approach supports durability and helps maintain the overall value of the property, making it a practical choice for those looking to enhance their living or working spaces in Ponder, TX.

Get Ants Extermination Service Quotes

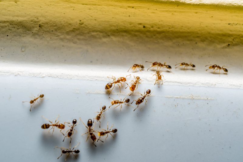
  • Ant Infestation Removal - needed when ants invade kitchens, pantries, or other indoor areas in Ponder, TX and neighboring communities.
  • Outdoor Ant Control - required to eliminate ant colonies around yards, gardens, or outdoor living spaces.
  • Kitchen Ant Prevention - essential for homeowners experiencing recurring ant issues in food preparation areas.
  • Carpenter Ant Treatment - necessary when wood structures or furniture show signs of ant activity or damage.
  • Seasonal Ant Treatments - advised to prevent ant problems during peak activity periods in residential and commercial properties.

Get Ants Extermination Service Quotes

Ants Extermination Service
Ants Extermination Service
Ants Extermination Service

Ants extermination services involve the identification and elimination of ant colonies within residential, commercial, or industrial properties. Service providers typically begin with an assessment to determine the extent of the infestation and the species involved. Treatments may include targeted application of insecticides, baiting systems, or other pest control methods designed to eradicate the ants and prevent their return. These services aim to address the root of the problem, ensuring that the ants are effectively removed from the property.

Ant infestations can cause various issues, including property damage, contamination of food supplies, and general nuisance. Certain species of ants, such as carpenter ants, are known to cause structural damage by burrowing into wood. Additionally, ants can contaminate food items and surfaces, creating hygiene concerns in kitchens and food storage areas. Extermination services help mitigate these problems by removing the pests and implementing strategies to reduce the likelihood of future invasions.

Properties that often utilize ants extermination services include single-family homes, apartment complexes, restaurants, grocery stores, and warehouses. Residential properties frequently seek assistance when ants invade kitchens, bathrooms, or gardens. Commercial establishments, especially those involved in food preparation or storage, prioritize pest control to maintain hygiene standards and comply with health regulations. Industrial facilities may also require pest management to prevent infestations that could disrupt operations or damage materials.

Professional ant extermination services provide tailored solutions based on the specific property and infestation severity. Service providers utilize various techniques and products designed for safe and effective pest control. Regular inspections and treatments can help maintain pest-free environments, especially in areas prone to ant activity. Contacting local pest control professionals ensures that property owners and managers receive expert advice and assistance in managing ant problems efficiently.

The overview below groups typical Ants Extermination Service projects into broad ranges so you can see how smaller, mid-sized, and larger jobs often compare in Ponder, TX.

In many markets, a large share of routine jobs stays in the lower and middle ranges, while only a smaller percentage of projects moves into the highest bands when the work is more complex or site conditions are harder than average.

Initial Inspection - The cost for an ant inspection typically ranges from $50 to $150, depending on the property's size and complexity. This fee covers a thorough assessment to identify ant activity and nesting areas.

Basic Treatment - A standard ant extermination service usually costs between $100 and $300. This includes applying targeted treatments to eliminate visible ant colonies and prevent future infestations.

Comprehensive Pest Control - For extensive ant problems, prices can range from $200 to $500 or more. These services often include multiple visits, baiting, and ongoing monitoring to ensure complete eradication.

Ongoing Maintenance - Regular pest control plans for ant prevention generally cost between $30 and $60 per month. These plans involve scheduled treatments to keep ant populations under control over time.

Actual totals will depend on details like access to the work area, the scope of the project, and the materials selected, so use these as general starting points rather than exact figures.

Get an Ants Extermination Service Quote

Ants Extermination - Local pest control professionals offer targeted treatments to eliminate ant colonies and prevent future infestations.

Ants Baiting Services - Experts utilize baiting strategies to safely attract and eradicate ant populations within residential and commercial properties.

Ants Inspection and Consultation - Specialists conduct thorough inspections to identify ant entry points and recommend effective removal methods.

Ants Prevention Services - Service providers implement measures to block ant access and reduce the likelihood of recurring problems.

Ants Removal Treatments - Professionals apply chemical and non-chemical solutions tailored to the specific ant species and infestation level.

Ants Colony Removal - Local pros focus on locating and eliminating entire ant colonies for comprehensive pest control results.

Ants Extermination Service

When selecting a professional for ant extermination services, experience is an important factor to consider. Homeowners should look for local service providers with a proven track record in pest control within Ponder, TX and surrounding areas. Experienced pros are often familiar with common ant species and effective treatment methods, which can contribute to more efficient and thorough service. Comparing the backgrounds of different providers can help ensure that the chosen professional has the relevant expertise needed to address specific ant issues effectively.

Clear communication and well-defined expectations are essential when working with a pest control service. Reputable local pros typically provide detailed information about their process, what homeowners can expect during and after treatment, and any necessary preparations. Transparent communication helps set realistic expectations and fosters a better understanding of the service, reducing potential misunderstandings or surprises. Homeowners are encouraged to inquire about these details to ensure alignment before proceeding with any treatment plan.

Reputable references and reviews can serve as valuable indicators of a local pest control provider’s reliability and quality of service. Homeowners should seek out local pros with positive feedback from previous clients, as this can reflect consistent performance and customer satisfaction. Additionally, a provider’s reputation within the community often correlates with their professionalism and adherence to industry standards. When comparing options, it’s beneficial to consider the feedback from other homeowners in the area to help identify a trusted and dependable pest control service provider.

Get an Ants Extermination Service Quote

Property owners in Ponder, TX use Ants Extermination Service services for practical projects around their homes and businesses. The sections below highlight everyday jobs and straightforward project options.

Ants Extermination Service
Ants Extermination Service

Ants extermination services are commonly sought by property owners in Ponder, TX when encountering persistent ant infestations in homes or businesses. These pests can invade kitchens, pantries, and other areas, often attracted by food sources or moisture. Property owners may look for professional assistance to effectively eliminate ant colonies and prevent future invasions, ensuring a clean and pest-free environment.

In addition to immediate removal, property owners might seek ant extermination services to address recurring issues or to protect structural integrity. Ants can sometimes cause damage or become a nuisance, especially in areas with easy access to food or water. Local service providers can offer targeted solutions to help maintain a comfortable and pest-free property in Ponder and nearby communities.

Get an Ants Extermination Service Quote

How do ant extermination services work? Ant extermination services typically involve inspecting the property to identify ant entry points and nests, followed by targeted treatments to eliminate colonies and prevent future infestations.

Are ant extermination treatments safe for pets and children? Many extermination methods are designed to be safe around pets and children, but it is best to consult with local service providers about specific products used.

How long does an ant extermination treatment last? The duration of effectiveness varies depending on the treatment method and the extent of the infestation; local pros can provide guidance on maintenance and follow-up services.

Can ant extermination services prevent future infestations? Yes, professional treatments often include recommendations and barriers to help reduce the likelihood of ants returning.

What should I do before a pest control visit for ants? It is advisable to clear the area around ant entry points and follow any specific instructions provided by the service provider to ensure effective treatment.

Ants Prevention Strategies - Local pest control providers offer advice on sealing entry points and removing attractants to help prevent ant infestations.

Inspection Services - Professionals can identify ant activity and locate nests to determine the most effective treatment approach.

Targeted Ant Treatments - Experts utilize various methods to eliminate ants at the source, reducing the likelihood of future invasions.

Ongoing Monitoring - Service providers can set up regular inspections to ensure ant problems are kept under control over time.

Ants Extermination Service

Considering Ants Extermination Service for a property in Ponder, TX? The sections above highlight common project types, practical options, and details that often shape the scope of work.

When you are ready, use the quote form to share a few details about your project. Local pros can review the basics and respond with options that match what you have in mind.

Get an Ants Extermination Service Quote

Ants Extermination Quotes

Our Trusted Partners
Cantu Pest Control
Orkin
Hawx Pest Control