Local Service Overview

Get Ants Extermination Service in Keller, TX

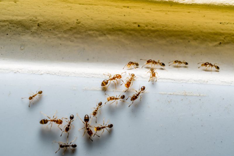
Ants extermination services for property owners in Keller, TX, and nearby areas address ant infestations, including removal, prevention, and treatment for residential and commercial properties.

Keller, TX

Ants extermination services provide property owners in Keller, TX with effective solutions to manage and eliminate ant infestations. Addressing these pests helps maintain a clean and comfortable living or working environment, reducing the stress and inconvenience caused by unwanted ant activity. Professional exterminators utilize targeted methods to control ant populations, which can lead to increased safety by preventing potential damage to structures and minimizing the risk of ant-borne contaminants.

Choosing professional ant extermination offers benefits that extend beyond immediate pest control. Proper treatment can enhance the durability of a property by protecting it from potential damage caused by ants and other pests. Additionally, effective extermination can improve curb appeal by creating a tidy, pest-free exterior, helping property owners enjoy a more inviting and well-maintained appearance with reduced ongoing maintenance needs.

Get Ants Extermination Service Quotes

  • Ant Infestation Removal - needed when ants invade kitchens or pantry areas in residential or commercial properties.
  • Carpenter Ant Treatment - required if wood structures in homes or buildings show signs of ant activity or damage.
  • Outdoor Ant Control - suitable for properties experiencing ant colonies around gardens, lawns, or patios.
  • Ant Prevention Services - useful for maintaining pest-free environments after initial removal or in high-risk areas.
  • Emergency Ant Extermination - necessary when ant infestations suddenly become overwhelming or difficult to control.

Get Ants Extermination Service Quotes

Ants Extermination Service
Ants Extermination Service
Ants Extermination Service

Ants extermination services involve identifying and eliminating ant infestations within residential, commercial, or industrial properties. These services typically include thorough inspections to locate ant colonies and entry points, followed by targeted treatment methods to eradicate existing nests and prevent future invasions. Professionals may use a combination of baiting systems, residual insecticides, and barrier treatments to ensure comprehensive control. The goal is to reduce or eliminate ant populations while minimizing disruption to the property and its occupants.

Ant problems can cause significant nuisance and damage, especially when ants invade kitchens, pantries, or food storage areas. Certain species, such as carpenter ants, can also compromise the structural integrity of wooden elements in a property by burrowing into wood structures. Extermination services help address these issues by removing the pests and reducing the likelihood of recurring infestations. Proper treatment not only alleviates the immediate nuisance but also contributes to a cleaner, healthier environment within the property.

Properties that commonly utilize ant extermination services include single-family homes, apartment complexes, restaurants, and retail stores. Residential properties often seek assistance to manage ants in kitchens, gardens, or around foundations. Commercial establishments, especially those involved in food handling or preparation, prioritize pest control to meet health standards and prevent business disruptions. Additionally, property managers and landlords may contract services to maintain pest-free environments across multiple units or buildings.

Professional ant extermination services are tailored to the specific needs of each property type and infestation severity. Service providers evaluate the extent of the ant problem, identify the species involved, and recommend appropriate treatment plans. Regular inspections and follow-up treatments may be part of ongoing pest management strategies to ensure long-term control. Contacting local pest control professionals can help property owners and managers develop effective solutions to manage ant issues efficiently.

The overview below groups typical Ants Extermination Service projects into broad ranges so you can see how smaller, mid-sized, and larger jobs often compare in Keller, TX.

In many markets, a large share of routine jobs stays in the lower and middle ranges, while only a smaller percentage of projects moves into the highest bands when the work is more complex or site conditions are harder than average.

Initial Inspection - The cost for an ant inspection typically ranges from $50 to $150, depending on the property size and complexity. Some providers may include a basic assessment as part of their service package.

Extermination Treatment - Treatment services generally cost between $100 and $300 per application. Larger infestations or multiple treatments can increase the total expense beyond this range.

Preventive Barrier - Applying a preventive barrier around a property usually costs between $150 and $400. This service aims to reduce future ant entry and may involve multiple visits or treatments.

Follow-Up Services - Follow-up inspections and treatments often range from $75 to $200 each visit. The frequency and extent of follow-up work influence the overall cost for ongoing ant control.

Actual totals will depend on details like access to the work area, the scope of the project, and the materials selected, so use these as general starting points rather than exact figures.

Get an Ants Extermination Service Quote

Ants Extermination - Local pest control providers offer specialized services to eliminate ant infestations and prevent future occurrences.

Ant Control for Homes - Service providers assist homeowners in identifying ant entry points and applying effective treatments to safeguard living spaces.

Commercial Ant Extermination - Businesses can connect with pros experienced in managing ant problems in commercial properties to maintain a pest-free environment.

Outdoor Ant Prevention - Local experts provide solutions to treat outdoor areas, reducing ant colonies near residential and commercial properties.

Eco-Friendly Ant Removal - Service providers may offer environmentally conscious methods for eliminating ants while minimizing chemical use.

Emergency Ant Pest Control - Immediate assistance from local pros is available for urgent ant infestations that require prompt attention.

Ants Extermination Service

When comparing ant extermination services, it’s important to evaluate the experience of local professionals. Experienced providers often have a deeper understanding of ant behaviors and effective treatment methods specific to the Keller, TX area. They may also have a history of handling various ant infestations, which can contribute to more reliable results. By reviewing the backgrounds of different service providers, homeowners can better gauge which local options have a track record of successfully managing ant problems.

Clear communication and well-defined expectations are key when selecting an ant extermination service. Reputable local pros typically provide detailed information about their treatment approaches, the scope of work, and any preparations needed before service. This transparency helps homeowners understand what to expect and ensures there are no surprises during or after the treatment process. Establishing open lines of communication can also facilitate ongoing support or follow-up if necessary.

Reputable references and reviews from other homeowners in the Keller area can offer valuable insights into the reliability and professionalism of local ant extermination providers. While the site introduces various local options, it’s important to verify the reputation of each service provider independently. Good references often reflect consistent quality of work and positive customer experiences. By considering these references alongside factors like experience and communication, homeowners can make more informed decisions when choosing a local professional for ant control services.

Get an Ants Extermination Service Quote

Property owners in Keller, TX use Ants Extermination Service services for practical projects around their homes and businesses. The sections below highlight everyday jobs and straightforward project options.

Ants Extermination Service
Ants Extermination Service

Ants extermination services are commonly sought by property owners in Keller, TX, experiencing persistent ant activity around their homes or businesses. Common situations include noticing ant trails in kitchens or bathrooms, finding nests in yards or garden beds, or discovering ant colonies inside wall voids. These issues can disrupt daily routines and raise concerns about potential property damage or hygiene, prompting residents to seek professional assistance to effectively eliminate the infestation.

Property owners may also look for ant extermination services when ants become a recurring problem despite previous attempts at control. In many cases, ants can invade outdoor areas such as patios or landscaped zones, and if not addressed, they may migrate indoors. Local service providers are often contacted to develop targeted treatment plans that help restore comfort and prevent future invasions, ensuring properties remain ant-free.

Get an Ants Extermination Service Quote

How do ant extermination services work? Ant extermination services typically involve inspecting the property to identify ant colonies, applying targeted treatments to eliminate ants and their nests, and advising on prevention methods to reduce future infestations.

Are ant extermination treatments safe for pets and children? Many local pros use treatment options that are designed to be safe around pets and children; it is recommended to discuss safety concerns with the service provider before treatment.

How long does an ant extermination treatment usually last? The duration of effectiveness can vary depending on the treatment method and extent of the infestation, with some treatments providing ongoing protection when combined with proper prevention measures.

Can ant extermination services prevent future infestations? Yes, professionals often provide advice on sealing entry points, removing food sources, and other prevention strategies to help reduce the likelihood of future ant problems.

What types of ants can be treated with extermination services? Local pros are equipped to handle various ant species, including common household ants, carpenter ants, and fire ants, among others.

Ants Control Solutions - Local pest control providers offer targeted treatments to eliminate ant colonies and prevent future infestations.

Inspection and Identification - Professionals can assess property conditions to identify ant entry points and nesting areas for effective removal strategies.

Barrier Treatments - Service providers apply residual barriers around structures to keep ants from entering indoor spaces.

Ongoing Monitoring and Prevention - Experts can establish ongoing plans to monitor ant activity and implement preventative measures.

Ants Extermination Service

Considering Ants Extermination Service for a property in Keller, TX? The sections above highlight common project types, practical options, and details that often shape the scope of work.

When you are ready, use the quote form to share a few details about your project. Local pros can review the basics and respond with options that match what you have in mind.

Get an Ants Extermination Service Quote

Ants Extermination Quotes

Our Trusted Partners
Cantu Pest Control
Orkin
Hawx Pest Control